The summer of 2022 was our most stonefly-y summer yet. After making a connection with a stonefly expert – Dave Burton the previous summer – we were on the hunt, with our eyeballs dialed into these prehistoric-esc insects.


Belonging to the Order Plecoptera, these insects – that look like they belong in Jurassic Park or Land Before Time – span the globe, which is easy to do with over 3,700 species. The adults and larvae aren’t the cutest things, and differ quite a bit in appearance. The adults are 6 to 60mm in length, which is mostly covered by their wings when at rest, which fold up like a fan. These lengthy wings may look impressive, but they actually aren’t great fliers; perhaps that will change over time with evolutionary pressures.
British Columbia, the province where our Summer of Stoneflies took place supports about 52% of Canada’s species, so about 138 out of 267 species. So B.C. by far is Canada’s hotspot. Why? B.C. has a lot of “high gradient streams” according to Kndratieff et al., 2019. But with so many remote areas of BC, Canada, and worldwide, many species remain undescribed. We have a lead on one of those undescribed species, but another field trip is required, so stay tuned.









Habitat.
To find these alien creatures, you’ll be looking for streams. Stony, or sandy, mountainous or in the lowlands. They inhabit a wide range of stream temperatures, latitudes, and altitudes so they are excellent insects to monitor water quality with.
We mainly sweep foliage to find adult stoneflies, but will turn over rocks or use nets to catch debris in streams to find nymphs.

Meal Time.
Canadian stoneflies can be broken into two loose groups based on what they eat. The group/infraorder Systellognatha are predators to follow aquatic inverts. Whereas Euholognatha, consumes organic matter like leaves and wood, to which the digestion is aided by microbes. These two groups have adapted very different mouthparts in order to eat such different food types, but are mostly of the chewing type. But many adult species don’t even have mouthparts, because their adult life is all about mating, and once that’s done they are done.

Mating.
In order to mate, ya got to find a mate! Duh! Plecoptera do a variety of tactics to search and communicate for a partner. They create vibrations to attract mates through various means, known as “intersexual communication” which could include drumming. The males drum with a species specific sound by tapping their abdomen on the ground. Interested females respond with their own drumming.


Baby making.
Females lay roughly 6,000 eggs in a preferred stream. The adults-only live several weeks, so make haste. . .while you’re still alive! Eggs eventually hatch into nymphs with external gills. For up to four years these nymphs feed on insects, plants, and decomposing matter, depending on the mouthpart types they are equipped with. Nymphs almost always have three tails, and leaflike gills along their abdomen. Stoneflies and other insects that undergo incomplete metamorphosis, or live through an egg, nymph, and adult stage are known as hemimetabolous.

Climate Change
Since they aren’t super fliers, their ability to disperse as adults limits their ability to adapt to climate change. Additionally, since they develop in freshwater ecosystems they are sensitive to temperature shifts and flow alterations. As glaciers continue to receive due to climate change, their outflow, and change of outflows due to climate change threaten cold water plecoptera species.
As the climate crisis continues to warm waters, and alter flow regime by altered precipitation, glacier melt, and other factors our stoneflies are going to be grasping stones hard to stay around, and keep their populations up. Plecopteras in Canada and around the globe are therefore at risk of being included in the ongoing list of species at risk, especially in northern latitudes where species experience greater pressure by the climate crisis than lower latitudes.
Our poor guys just can’t get a break, plecopteras are also threatened by “pollution, habitat loss, urban development, foreign species invasion” (Lee et al. 2022).
Throughout researching stoneflies, a consistent theme emerged amongst the papers I read. Like many other insect families, the common theme of ‘gaps in knowledge,’ or ‘much is still to be understood,’ and ‘further research and observation is required’ was startingly common. I bring this up because with limited knowledge across the board is alarming because the impact the climate crisis has on these insects may go misrepresented, and/or underrepresented.
Rarities & Odd Finds


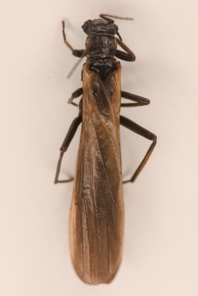
This first one is the first observation for iNaturalist. It was first described in 1937. Oemopteryx is a winter stonefly genus with three species. We managed to collect a male and female, that are now in the Canadian National Collections, #1968207.

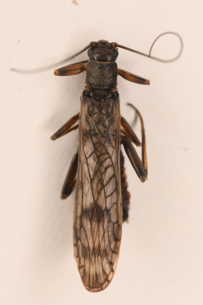
This light green one is an iNaturalist first, spotted in the Squamish-Lillooet District near the South Chilcotin Mountains Provincial Park. We sent this to Burton, who identified this female as a Canadian Sallfly, Sweltsa revestoka.


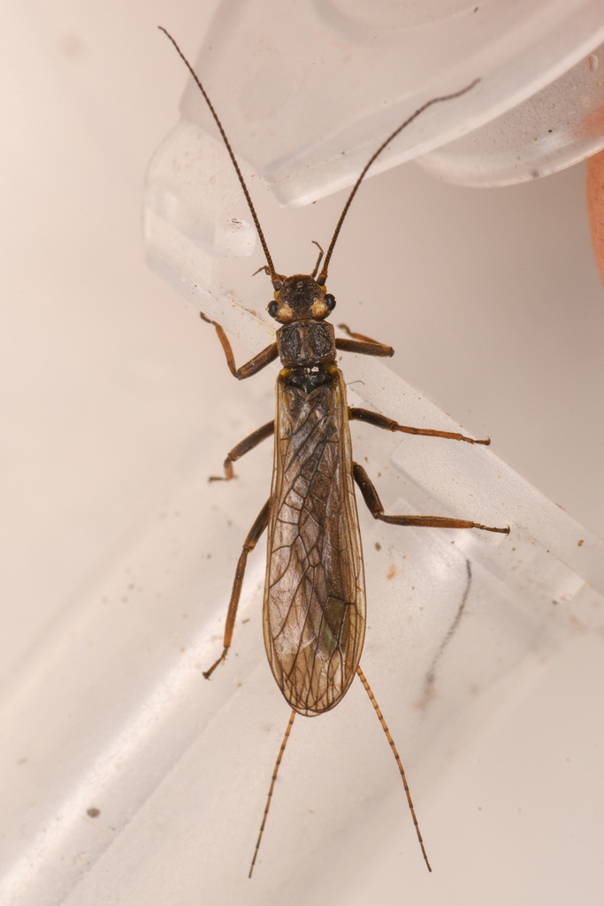
I included Isoperla Kataiensis because we were alerted by Burton because these “specimens of Isoperla katmaiensis are interesting as this species has only ever been recorded from Alaska.”, which would make this a new Canadian record. This is confirmed by this GBIF page.
In Conclusion. . .
Stoneflies are just another fantastically interesting insect that goes under the radar. The next time you’re near a stream or small river try flipping over a few stones. If you find one of these nymphs scurrying away, know your in a decent habitat that’s worth exploring and protecting. To find the adults try using a sweep net or tray and beat some bushes.
I’m excited to see what other records we can contribute to the Canadian National Records. Thanks to iNaturalist we get to connect to experts across the country and globe, and discuss such insects. If you are looking to connect with experts in an odd-ball, and/or underlooked field such as stream inverts I highly recommend using the platform (preferably the website).
Happy stonefly searching!

References
- Britannica, The Editors of Encyclopaedia. “stonefly”. Encyclopedia Britannica, 7 Nov. 2016, https://www.britannica.com/animal/stonefly. Accessed 20 September 2022.
- Kondratieff BC, DeWalt RE, Verdone CJ (2019) Plecoptera of Canada. In: Langor DW, Sheffield CS (Eds) The Biota of Canada – A Biodiversity Assessment. Part 1: The Terrestrial Arthropods. ZooKeys 819: 243–254. https://doi.org/10.3897/zookeys.819.23535
- Chapter 22 – Stoneflies: Insect Order Plecoptera
- Study on Oemopteryx vanduzeea, 2009
- Lee, Da-Yeong, et al. “Distribution patterns and vulnerability of stoneflies (Plecoptera: Insecta) in South Korean streams with conservation perspectives.” Global Ecology and Conservation 34 (2022): e02030.
- Borror and Delong’s Introduction to the Study of Insects, 7th Edition, 2005